Riverwood Drive
Mayville, ND 58257
$4,000
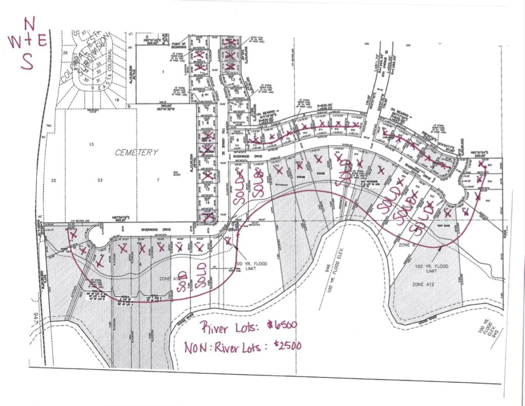
RIVERWOOD ADDITION: Mayville, ND. 52 lots east of Mayville,ND along Goose River. TIF tax incentives. Local incentives! Lots from $4,000
Realtor Links:

RIVERWOOD ADDITION: Mayville, ND. 52 lots east of Mayville,ND along Goose River. TIF tax incentives. Local incentives! Lots from $4,000